Coastal Restoration
28.4K views | +0 today
Follow
 
Scooped by PIRatE Lab
onto Coastal Restoration
December 19, 2014 5:06 PM
Scoop.it!

NASA Just Emailed A Wrench To The International Space Station | IFLScience

NASA Just Emailed A Wrench To The International Space Station | IFLScience | Coastal Restoration | Scoop.it
For the first time ever, hardware designed on the ground has been emailed to space to meet the needs of an astronaut. From a computer in California, Mike Chen of Made In Space and colleagues just 3D-printed a ratcheting socket wrench on the International Space Station.
PIRatE Lab's insight:

More and more fun with 3D Printers.

No comment yet.
Coastal Restoration
Coastal management and restoration of our planet's coastlines with a particular focus on California, Louisiana and the Pacific.  Emphasizing wetland restoration, aspects of agriculture in the coastal plain, fisheries, dealing with coastal hazards, and effective governance.
Curated by PIRatE Lab
Your new post is loading...
Your new post is loading...
Scooped by PIRatE Lab
November 23, 2013 1:38 AM
Scoop.it!

Welcome to Coastal Restoration

Welcome to Coastal Restoration | Coastal Restoration | Scoop.it

Welcome to my curation site for all things coastal management-related.

 

Here you will find an array of stories, media, factoids, and updates on current events spanning a range of coastal and marine issues.  While we are interested in a great many things, most of these entries center upon efforts to restore coastal ecosystems and improve the management of these incredibly dynamic parts of our planet.

 

In particular, you will find postings here that reflect a deep, continuing interest in:

 

- coastal riparian restoration

- coastal wetland restoration

- the coastal imaginary

- deep sea mining

- plastic pollution (especially microplastic)

- subtidal reef restoration

- improved Coastal Zone Managment poilcies and proceedures 

- coastal agriculture/food systems

- sustainable fisheries management

- working ports and harbors

- vibrant ocean economies

- marine ecology

- natural history

- coastal energy production

- oil spills

- water quality and ecotoxicology in the coastal zone

- historic coastal perspectives and our relationship to our world ocean

 

 

 

If you find my posts here of interest, you might also be interested in some of my other research, teaching, and updates elsewhere via my:

 

- YouTube Coastal-Related Videos: https://www.youtube.com/watch?v=qW7CGTK-1vA&list=PLvKr3ZQE4i36pubiq9RGBJo6GSRhEJPb9&pp=gAQBiAQB

- YouTube Disasters-Related Videos: 

https://www.youtube.com/watch?v=kJDZnFl1qxk&list=PLvKr3ZQE4i350iUWqGB_2e49Mjm94L7mf&pp=gAQBiAQB

- Dr. A's lab home page: https://piratelab.org

- RestoringNOLA twiter feed (emphasizing Coastal Management in California and Louisiana): https://twitter.com/RestoringNOLA

 

 

Thanks for visiting.  Please enjoy and let us know if we can answer any questions or be of help.

Howhighcenter's curator insight, June 2, 2022 4:57 PM
What does an acid trip typically feel like? Each person’s experience with acid will be different. Indeed, each trip may be different. One might be very light, but others can take a frightening and overwhelming turn. Symptoms may begin to show 20 to 90 minutesTrusted Source after taking a dose. The main episode can last several hours. Acid is a long-acting drug. It stays in the body 6 to 15 hoursTrusted Source. Most acid trips won’t last more than 9 hours. The trip During this period of “tripping” or active effects, you may begin to experience sensationalized perceptions of what’s happening around you. This can include “seeing” color or “tasting” sounds. Stationary items, like furniture, may begin to “move” or swell or shrink before your eyes. Coming down Coming down from the trip will feel like you’re gradually returning to Earth. Signs may begin to lessen in intensity. You may feel tired after getting through the hours-long trip and want to sleep. Afterglow An “afterglow” is possible for several hours after the end of the trip, too. This may feel like everything is “lighter” or “brighter” than before the trip. You may also have moments of flashbacks for several hours, even days, after the acid trip is over. Microdosing A microdose is a small dose of a psychedelic drug like LSD, often one-tenth of a normal dose. It’s sometimes used to help treat symptoms of anxiety and depression, but it’s not meant to completely encompass your day. However, little is known about the long-term effects of this practice. Visit Howhighcenter.com for some Psychedelic Products.. . https://howhighcenter.com/shop/chocolate-bars/blue-meanies-mushroom/ https://howhighcenter.com/shop/chocolate-bars/charming-bars/ https://howhighcenter.com/shop/chocolate-bars/dark-chocolate-bars/ https://howhighcenter.com/shop/chocolate-bars/magic-chocolate-caps/ https://howhighcenter.com/shop/chocolate-bars/one-up-mushroom/ https://howhighcenter.com/shop/chocolate-bars/one-up-mushroom-bar-3-5g-shrooms-chocolate-bar/ https://howhighcenter.com/shop/chocolate-bars/open-minded-chocolate-bars/ https://howhighcenter.com/shop/chocolate-bars/polkadot-magic-muchroom-belgian-bar/ https://howhighcenter.com/shop/chocolate-bars/rick-and-morty-trippy-flip/ https://howhighcenter.com/shop/chocolate-bars/space-bars-dark-chocolate/ https://howhighcenter.com/shop/chocolate-bars/trippy-flip-milk-chocolate-bar/ https://howhighcenter.com/shop/chocolate-bars/trippy-treats-magic-shrooms-chocolate-bars/ https://howhighcenter.com/shop/chocolate-bars/wavy-bar-chocolate-mushroom/ https://howhighcenter.com/shop/shrooms/albino-penis-envy-mushrooms/ https://howhighcenter.com/shop/shrooms/amanita-muscaria/ https://howhighcenter.com/shop/shrooms/amazon-cubensis/ https://howhighcenter.com/shop/shrooms/blue-meanies-mushrooms/ https://howhighcenter.com/shop/shrooms/brazilian-cubensis/ https://howhighcenter.com/shop/shrooms/columbia-cap/ https://howhighcenter.com/shop/shrooms/dancing-tiger/ https://howhighcenter.com/shop/shrooms/golden-caps/ https://howhighcenter.com/shop/shrooms/golden-teachers/ https://howhighcenter.com/shop/shrooms/hawaiian-caps/ https://howhighcenter.com/shop/shrooms/p-e-shrooms/ https://howhighcenter.com/shop/shrooms/psilocybe-azurescens-flying-saucer-mushrooms/ https://howhighcenter.com/shop/lsd/25i-nbome-blotter/ https://howhighcenter.com/shop/lsd/liquid-lsd/ https://howhighcenter.com/shop/lsd/liquid-lsd-acid-100/ https://howhighcenter.com/shop/lsd/liquid-lsd-acid-200/ https://howhighcenter.com/shop/lsd/lsd-blotter-200-%c2%b5g/ https://howhighcenter.com/shop/lsd/lsd-blotter-250-%c2%b5g/ https://howhighcenter.com/shop/lsd/lsd-sheets/ https://howhighcenter.com/shop/dmt/5-meo-dmt/ https://howhighcenter.com/shop/dmt/crimson-palms-hotel/ https://howhighcenter.com/shop/dmt/dmt-vape/ https://howhighcenter.com/shop/dmt/dmt-vape-top-diy-refill-syringe/ https://howhighcenter.com/shop/dmt/mdma-powder/ https://howhighcenter.com/shop/dmt/raw-dmt-powder-1g/ https://howhighcenter.com/shop/dmt/somad-dmt-vape-top/
Cole Schwab's curator insight, September 16, 2022 3:09 PM
This article goes over how nature can help us achieve our goal set forth by the paris climate agreement, which is to limit global temperature rise to less than 2 degrees celcius. If we are smart and careful we can use nature as our ally to help fight climate change. However if we are not so smart nature could hinder our fight with rising global temperatures and contribute ultimately to natures desctruction. 
Olivia Moorehead's curator insight, October 10, 7:30 PM
Scooped by Kelly Colindres
November 24, 4:34 PM
Scoop.it!

Coastal communities help track N.S. marine life using environmental DNA | CBC News

Coastal communities help track N.S. marine life using environmental DNA | CBC News | Coastal Restoration | Scoop.it
The Community-Oriented Coastal Observatory needs samples from around the province, so they're recruiting volunteers just like them to help with this project.
No comment yet.
Scooped by John Maines
November 21, 2:18 PM
Scoop.it!

Deep-sea mining might feed plankton a diet of junk food

Deep-sea mining might feed plankton a diet of junk food | Coastal Restoration | Scoop.it
An analysis of mining plumes in the Pacific Ocean reveals they kick up particles sized similarly to the more nutritious tidbits that plankton eat.
Ashley Lord's comment, November 21, 2:30 PM
I've always wondered about the cascading effects of deep-sea mining and this article gave a really good explanation on the impacts it has on plankton.
Scooped by Kristiann G
November 20, 3:51 PM
Scoop.it!

Thousands of toxic sites across US face risk of coastal flooding | Flooding | The Guardian

Thousands of toxic sites across US face risk of coastal flooding | Flooding | The Guardian | Coastal Restoration | Scoop.it
Study finds rising seas could flood facilities handling waste, sewage, and oil and gas – and coastal states most at risk
John Maines's comment, November 21, 2:19 PM
Looks like a good opportunity for a GIS map... to show the layers and toxicity levels/strengths. Then overlap that with types of housing. Seems common for cities to plan out their towns with rentals and apartments to be the closest to any hazards. Wonder what mitigation strategies they'll end up going with.
Scooped by Hayden Fausset
November 19, 10:24 PM
Scoop.it!

From seabirds to sea turtles: the fatal toll of plastic revealed

From seabirds to sea turtles: the fatal toll of plastic revealed | Coastal Restoration | Scoop.it
A new study pinpoints the deadly thresholds of plastic ingestion for marine life.
John Burns's comment, November 21, 8:20 PM
At the beach I often see seagulls throwing around trash and pieces of plastic. With only 23 pieces being what they suggest can harm the bird, I would think that happens fairly quickly.
Scooped by Michelle Negrete
November 18, 9:28 PM
Scoop.it!

Video At least 1 person dead after storms along the West Coast

Video At least 1 person dead after storms along the West Coast | Coastal Restoration | Scoop.it
Evacuation warnings and orders in Los Angeles County were lifted Saturday night, according to the LA County Fire Department.
Michelle Negrete's insight:
The news story details the unfortunate death of a 71-year-old man from flash flooding that pushed his car over a bridge and into the creek. With 3-5 inches falling across multiple Southern California cities, the reporter highlights a real concern for more accidents as mudslides exacerbated by the Eaton and Palisades fires, debris flows, rockslides, and hazardous road conditions. Coastal counties like LA County will be ones to watch.

Article and insight provided by Nicole K. 
 

No comment yet.
Scooped by Marisol Pantoja
November 18, 12:36 PM
Scoop.it!

Alaska-Based Research Vessel to Support U.S. Antarctic Expedition in 2026

Alaska-Based Research Vessel to Support U.S. Antarctic Expedition in 2026 | Coastal Restoration | Scoop.it
 The U.S. research vessel Sikuliaq has begun a long voyage to the Antarctica, achieving a new milestone in its decade-long polar expeditions. Th
Marisol Pantoja's insight:
The vessel is owned by the National Science Foundation for a decade-long polar expedition. The vessel left Alaska’s Dutch Harbor on November 14 and is on a 10-day transit to Honolulu.
No comment yet.
Scooped by Adam Steinmehl
November 17, 7:47 PM
Scoop.it!

https://www.nytimes.com/2025/11/17/business/energy-environment/brazil-hydropower-clean-energy-cop30.html?searchResultPosition=3

Adam Steinmehl's insight:
Hydropower from dams is starting to become less effective now that the world requires more energy to run. Other actions will be required to either enhance these machines or find alternative ways to provide energy for the ever-growing human world.
No comment yet.
Scooped by Kelly Colindres
November 17, 4:36 PM
Scoop.it!

Commission changes signal pro-development shift at coastlines?

Commission changes signal pro-development shift at coastlines? | Coastal Restoration | Scoop.it
Environmentalists have mostly been quiet about the new California Coastal Commission appointments, waiting to see how they vote.
Valerie P.'s comment, November 17, 7:05 PM
Super relevant topic, especially since we covered in it class recently! :O The change is helpful for people looking for or wanting to build new housing, but as we know, infrastructure near and directly on beaches and coastlines are not only vulnerable to erosion and flooding. but they also harm the beach and erode it in exchange as well. Overall, the change is kind of a huge bummer for the beach ecosystem.
Scooped by Kailani Franklin
November 13, 8:19 PM
Scoop.it!

North Wildwood sues New Jersey Department of Environmental Protection after it cancels beach replenishment - CBS Philadelphia

North Wildwood sues New Jersey Department of Environmental Protection after it cancels beach replenishment - CBS Philadelphia | Coastal Restoration | Scoop.it
North Wildwood residents are worried after New Jersey officials canceled a beach replenishment project.
No comment yet.
Scooped by David N. Folino
November 13, 6:54 PM
Scoop.it!

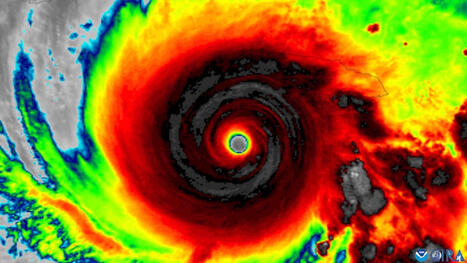
Does Hurricane Melissa Show It’s Time for a Category 6 Designation?

Does Hurricane Melissa Show It’s Time for a Category 6 Designation? | Coastal Restoration | Scoop.it
Hurricane Melissa’s powerful winds and drenching rains devastated Jamaica. But is its wrath a sign that we need a new designation for monster storms?
David N. Folino's insight:
Hurricane Melissa shows that storms are getting stronger than the current scale can describe, and climate change is pushing them beyond old limits. Some scientists want a Category 6, others say it oversimplifies risk. The clear takeaway is that future storms will be more intense, so planning and design need to account for higher wind and rainfall extremes.
No comment yet.
Scooped by Hayden Fausset
November 13, 5:14 PM
Scoop.it!

Coastal Ocean Areas Are Becoming More Acidic Than Previously Thought - environment coastal & offshore

Coastal Ocean Areas Are Becoming More Acidic Than Previously Thought - environment coastal & offshore | Coastal Restoration | Scoop.it
Areas are acidifying more quickly than thought, posing an existential threat to coastal economies around the world.
No comment yet.
Scooped by Kelly Colindres
November 10, 4:23 PM
Scoop.it!

‘Forever chemicals’ are new environmental threat for Florida’s Everglades

‘Forever chemicals’ are new environmental threat for Florida’s Everglades | Coastal Restoration | Scoop.it
A dozen different “forever chemicals” linked with cancer and other human health problems have been detected in the Everglades, Florida’s most important freshwater resource, responsible for the drinking water of millions in the state, according to new research. It is the first time PFAS, or perfluoroalkyl and polyfluoroalkyl substances, have been measured on the Everglades reservation of the Miccosukee Tribe.
No comment yet.
Scooped by Kailani Franklin
November 25, 3:54 PM
Scoop.it!

Land Trust transfers 300 acres to state for conservation

Land Trust transfers 300 acres to state for conservation | Coastal Restoration | Scoop.it
The N.C. Wildlife Resources Commission is now managing the Pasquotank River Preserve, which neighbors the state agency's North River Game Land in Camden County.
Katheryn Galvez's comment, November 28, 5:27 PM
It is exciting to see that even amidst multiple efforts to slow or stop conservation, these efforts are still persevering. With the 300-acre area now being managed by the North Carolina Wildlife Resources Commission, it will be interesting to see how the land changes over time. It’s also encouraging to see so many agencies and organizations working together to acquire and protect this important ecosystem.
Scooped by John Burns
November 21, 8:06 PM
Scoop.it!

Can the 3D-printed Reef of Hope turn the tide on oyster reef restoration? - Responsible Seafood Advocate

Can the 3D-printed Reef of Hope turn the tide on oyster reef restoration? - Responsible Seafood Advocate | Coastal Restoration | Scoop.it
Award-winning Reef of Hope uses 3D-printed biodegradable design to advance oyster reef restoration and revive marine ecosystems.
John Burns's insight:
He decided to start working on helping the oyster populations with science after a tasting class that describe the destruction from humans on oyster populations. I think he has a great idea. To help rebuild the population he is creating structures for oysters to live on. The structure is made from a biodegradable polyhydroxyalkanoates (PHA) material blended with seashell calcium carbonate, marine-safe minerals and bioactive coatings that also promote oyster settlement. 
Kailani Franklin's comment, November 28, 6:15 PM
This is such a great idea. I really hope it will be implemented. It's nice to see that people are coming up with creative solutions to pressing conservation problems.
Scooped by David N. Folino
November 20, 8:41 PM
Scoop.it!

Investigators Think They’ve Solved the Mystery of the Baltimore Bridge Crash

Investigators Think They’ve Solved the Mystery of the Baltimore Bridge Crash | Coastal Restoration | Scoop.it
A tiny, misplaced label may have slowly loosened a critical wire on the ship that hit Baltimore’s Francis Scott Key Bridge, eventually causing a catastrophic failure
David N. Folino's insight:
Investigators believe a small, mis-routed label on the ship Dali gradually loosened a vital wire, triggering a breaker trip, power loss, and the fatal collapse of the Francis Scott Key Bridge. 
No comment yet.
Scooped by Kailani Franklin
November 20, 2:20 PM
Scoop.it!

Alaska-Based Research Vessel to Support U.S. Antarctic Expedition in 2026

Alaska-Based Research Vessel to Support U.S. Antarctic Expedition in 2026 | Coastal Restoration | Scoop.it
 The U.S. research vessel Sikuliaq has begun a long voyage to the Antarctica, achieving a new milestone in its decade-long polar expeditions. Th
No comment yet.
Scooped by Esteban Roman
November 19, 12:04 PM
Scoop.it!

California Beach Widths Show Resilience

California Beach Widths Show Resilience | Coastal Restoration | Scoop.it
Two new studies from researchers at UC San Diego's Scripps Institution of Oceanography provide encouraging news about California's beaches at both local and statewide scales.
Hayden Fausset's comment, November 19, 10:39 PM
It was nice to read that San Diego beaches have shown more resilience than expected and they haven't lost a lot of sand in their local beaches' supply, even after strong El Nino years.
Scooped by William H
November 18, 4:16 PM
Scoop.it!

Nearly California’s Entire Coast Under Weather Warnings

Nearly California’s Entire Coast Under Weather Warnings | Coastal Restoration | Scoop.it
Hundreds of miles of California coastline were under weather-related warnings on Tuesday.
William H's insight:
Prep yourselves y'all, it looks like the storms aren't over yet!
Katheryn Galvez's comment, November 20, 7:18 PM
I wonder if these storms will result in immediate damages since our infrastructure is not built to withstand them. It will be interesting to see the lingering effects these large storms will have on urban infrastructure both now and for the future. It is truly sad to see that these storms are becoming more frequent and stronger over time. I am worried about the effects this will have on the environment and everyday life.
Esteban Roman's comment, November 22, 10:16 PM
A lot of areas will have a wake-up call and be nervous for what is to come because of climate change.
Scooped by Solomon Adams
November 18, 1:12 AM
Scoop.it!

EPA acts to leave more wetlands out of the scope of Clean Water Act protections

EPA acts to leave more wetlands out of the scope of Clean Water Act protections | Coastal Restoration | Scoop.it
The Environmental Protection Agency says it is redefining the scope of the nation’s bedrock clean water law to limit the amount of wetlands it covers
Nicole Kouyoumdjian's comment, November 18, 9:36 PM
How frustrating it must be for everyone that lives in proximity to those un-navigable waters/wetlands that the rues around what is an isn't cared for to change so much within a few years. I imagine that no matter what type of stakeholder you are, this constant uncertainty and the consequences of it are exhausting.
Kailani Franklin's comment, November 20, 2:25 PM
This is concerning considering the fact so many wetlands have already been lost. Wetlands help to filter water and protect against storms. This decision could increase water scarcity and exasperate the fatality of storms.
Scooped by Timothy Whitfield
November 17, 5:04 PM
Scoop.it!

Multiple Southern California Cities break Rainfall Record

Timothy Whitfield's insight:
Huge flash flooding in areas like Death Valley and Palm Springs that typically don't receive so much rain.
Adam Steinmehl's comment, November 17, 7:48 PM
It's been a wild week of rainfall. Flash flood events in our region and in the nearby deserts have really tested our flood systems to see if they work properly.
Scooped by Ashley Lord
November 17, 3:59 PM
Scoop.it!

Marine heat wave caused key part of Florida's coral reef to become "functionally extinct," report says - CBS News

Marine heat wave caused key part of Florida's coral reef to become "functionally extinct," report says - CBS News | Coastal Restoration | Scoop.it
A record 2023 heat wave all but eradicated two species of coral that historically served as the backbone of Florida's reefs, researchers said in a new report.
Solomon Adams's comment, November 18, 1:12 AM
This is a huge bummer to see:(
Scooped by Olivia Lucas
November 13, 7:42 PM
Scoop.it!

New unified model and classification system reveal diverse tipping points in coastal zones under climate change and human impacts

New unified model and classification system reveal diverse tipping points in coastal zones under climate change and human impacts | Coastal Restoration | Scoop.it
In a study published in SCIENCE CHINA Earth Sciences, researchers from Nanjing Normal University developed a unified mathematical model and a six-category classification system for coastal tipping points. By integrating land-sea interactions and multi-scale processes, the framework analyzes 91 global cases, highlighting spatial heterogeneity and urging advances in data fusion, modeling, and adaptive management to address irreversible shifts in these vulnerable systems.
No comment yet.
Scooped by John Maines
November 13, 6:54 PM
Scoop.it!

CRC to consider new N.C. Highway 12 sandbag rules, coastal erosion updates at November meeting

CRC to consider new N.C. Highway 12 sandbag rules, coastal erosion updates at November meeting | Coastal Restoration | Scoop.it
With additional reporting from Sam Walker The North Carolina Coastal Resources Commission (CRC) will tackle several high-priority coastal management issues at its November 19–20 meeting in Beaufort, including proposed rule […]
John Maines's insight:
North carolina new sandbag rules
No comment yet.
Scooped by Esteban Roman
November 11, 8:14 PM
Scoop.it!

Trump administration planning to allow oil and gas drilling off California coast | California | The Guardian

Trump administration planning to allow oil and gas drilling off California coast | California | The Guardian | Coastal Restoration | Scoop.it
Plan, which Gavin Newsom, the governor, has said would be ‘dead on arrival’, will allow six lease sales from 2027 to 2030
William H's comment, November 12, 1:48 PM
We are put between a rock and a hard place. I think it was interesting how the guest speaker expressed that as long as there is an immense demand for oil, it would be preferred to be American "made" in comparison to becoming reliant on foreign entities. However, the article explains the reason for why individuals express reservations in response to historical oil spills and the recorded impacts on everyone. It is a very unfortunate situation that we find ourselves in.
Katheryn Galvez's comment, November 20, 7:13 PM
The Trump administration approved the drilling of oil off the CA coast; six drilling leases will be available from 2027 to 2030. Though it is speculated that oil and cam companies will be more interested in the leases being available in the Gulf of Mexico. This is unsurprising considering that our president had no regard for the environment and actively outspokenly speaks about how he does not care about the effects.
Scooped by Valerie P.
November 10, 4:07 PM
Scoop.it!

https://www.nytimes.com/2025/11/10/climate/cop30-belem-climate-energy-technology-china.html


Valerie P.'s insight:
I found this article interesting because it discusses how the world is managing renewable energy. The article explains that fast-developing countries are having no problem shifting to renewable sources, compared to other countries that are not developing economically as fast. This shows how it is difficult to address climate change when some countries face socioeconomic problems compared to others. It explains how China has a large supply of solar panels, wind turbines, and batteries and how they are investing in the trajectory of already growing economies. The article’s bottom line is that while these countries are moving toward renewable energy sources, they still highly depend on fossil fuels. - Yaiza Delgado
Esteban Roman's comment, November 11, 8:15 PM
I agree it was an interesting read in terms of addressing how difficult climate change is to manage globally.